Artykuły Forum Ogrody pokazowe Instagram Sklep
Logowanie
Gdzie jesteś » Forum » Projektowanie ogrodów » Czy facetowi uda się wyczarować ogród marzeń?

Czy facetowi uda się wyczarować ogród marzeń?

L00zak 22:54, 07 lip 2015


Dołączył: 23 cze 2015
Posty: 2521
Jeszcze raz witam wszystkich bardzo serdecznie. Po dużej dawce inspiracji przeglądając to forum oraz przeczytaniu wielu wątków, szczególnie Pani Danusi podjąłem wyzwanie wyczarowania ogrodu wokół domku drewnianego.
Czuję się jeleniem czytając forum, ale jedno jest pewne, jest to wielka skarbnica wiedzy i inspiracji. Postanowiłem, że spróbuję i jak przystało na prawdziwego faceta i postaram zrealizować swój minimalistyczny ogród. Działka jest dość spora bo 28 arów. Teren ze spadkami terenu więc prace ziemne są nieodzowne.
Pierwszy krokiem po powstaniu budynku było ogrodzenie terenu i częściowe jego obsadzenie dla utworzenia ściany żywopłotu i tła dla powstających rabat. Wybrałem Thuja Zebrina, obsadziłem do połowy długości działki.
Prace podzieliłem sobie na dwie niezależne części, pierwsza przed domem od strony wjazdu i druga za domem z planowanymi półkami, skarpami dla wyrównania terenu i pergolą.
Tak wygląda mój plan - mapka, co o tym myślicie? Mam nadzieję, że będziecie mi kibicować i uda się facetowi wyczarować ogród.
____________________
Michał Czy facetowi uda się wyczarować ogród marzeń?
Gardener27 23:06, 07 lip 2015


Dołączył: 20 sty 2014
Posty: 13487
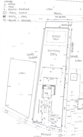
Intrygujący tytuł wątku Nie jednemu facetowi się udało więc Tobie również się uda Poproszę w powiększeniu plan bo choć wzrok mam dobry ciężko mi jest rozszyfrować co na nim jest
____________________
Przemek- Życie w wiejskim ogrodzie *** Wizytówka
Efffa 23:32, 07 lip 2015


Dołączył: 11 cze 2014
Posty: 3530
Ja tez się witam serdecznie i kibicuję facetowi.
____________________
Ewelina Odcienie zieleni 2
jazzy 23:44, 07 lip 2015


Dołączył: 15 sie 2014
Posty: 8646
Juhuu! ogród minimalistyczny!
Nie mogę się doczekać, bo też do takiego aspiruję i też mam taras od północy (płn-zach)
A więc kibicuję
Czekamy na zdjęcia
____________________
"w moim ogrodzie, gdzie czas leniwy..."
mikami 23:46, 07 lip 2015


Dołączył: 20 kwi 2015
Posty: 689
Witam się będę zaglądać i śledzić postępy
____________________
Mirela - Marzenie o nowoczesnym ogrodzie
L00zak 23:53, 07 lip 2015


Dołączył: 23 cze 2015
Posty: 2521
To pierwsza fotka, tak wygląda teren przed domem, widok na stronę południową

Planuję tu tuż za bramą kostkę, dojazd do garażu, dojście do domu dwoma alejkami, pomiędzy nimi trawnik z kilkoma donicami w kolorze białym, bo bokach od alejek po trzy pola kwadratowe wysypane białym żwirkiem w symetrycznych odstępach, a po wschodniej i zachodniej stronie paski rabat żwirowych wzdłuż alejek.
Wyzwaniem jest ten narożnik południowo wschodni, gdzie już są thuje, powstaje tam pole 10x10m planuje tam rabatę, wysypana korą
Super, że odwiedzacie temat, pamiętajcie, że wszystko to dla mnie nowe ale inspirujące rzeczy i każda uwaga na wagę złota
____________________
Michał Czy facetowi uda się wyczarować ogród marzeń?
L00zak 00:17, 08 lip 2015


Dołączył: 23 cze 2015
Posty: 2521
Plan wygląda tak:


Nie mam koncepcji na rabatę oznaczoną numerkiem 1.
Myślałem o 3 kulach bukszpanowych, lawendach i żurawkach. Ale brakuje mi czegoś pomiędzy Thują a bukszpanem…
____________________
Michał Czy facetowi uda się wyczarować ogród marzeń?
deszczowymaj 19:39, 08 lip 2015


Dołączył: 04 gru 2014
Posty: 7729
Witam
bardzo jestem ciekawa dalszego rozwoju sytuacji
co do rabaty nr 1 ...między tujami a bukszpanami może ładnie wyglądałyby jakieś wysokie trawki ?
____________________
JoannaJeżówkowe-Love ***Jeżówkowe-Love wizytówka
L00zak 20:25, 08 lip 2015


Dołączył: 23 cze 2015
Posty: 2521
Tak, też o tym myślałem, choć trawki planowałem przed lub obok bukszpanów.
____________________
Michał Czy facetowi uda się wyczarować ogród marzeń?
deszczowymaj 20:53, 08 lip 2015


Dołączył: 04 gru 2014
Posty: 7729
L00zak napisał(a)
Tak, też o tym myślałem, choć trawki planowałem przed lub obok bukszpanów.



Odmian trawiastych jest tyle,że naprawdę można zaszaleć

A czy słynne już ogrodowiskowe hortensje bukietowe zmieściłyby się ? Było by pięknie
____________________
JoannaJeżówkowe-Love ***Jeżówkowe-Love wizytówka
Korzystanie z portalu ogrodowisko.pl oznacza zgodę na wykorzystywanie plików cookie. Więcej informacji można znaleźć w Polityce plików cookies